| ARR FR | 
        CYBC | 
        H&L | 
         | 
        RNAV | 
        MIVAX OBTEK XORLO ROCKT ARR | 
      
      
        | ARR FR | 
        CYDO | 
        H&L | 
        JET | 
        RNAV | 
        OBRET LAFLEUR ARR | 
      
      
        | ARR FR | 
        CYDO | 
        H&L | 
        NONJET | 
        RNAV | 
        BERUT VIVOG ROCKT ARR | 
      
      
        | ARR FR | 
        CYGP | 
        H&L | 
         | 
        RNAV | 
        MIVAX OBTEK XORLO ROCKT ARR | 
      
      
        | ARR FR | 
        CYLQ | 
        H&L | 
        NONJET | 
        RNAV | 
        VIVOG ROCKT ARR | 
      
      
        | ARR FR | 
        CYML | 
        H&L | 
         | 
        RNAV | 
        MIVAX OBTEK XORLO ROCKT ARR | 
      
      
        | ARR FR | 
        CYND | 
        H&L | 
         | 
        RNAV | 
        AVVON ALOET ARR | 
      
      
        | ARR FR | 
        CYQB | 
        H&L | 
         | 
        RNAV | 
        IGTER ROCKT ARR | 
      
      
        | ARR FR | 
        CYRJ | 
        H&L | 
        JET | 
        RNAV | 
        OBRET LAFLEUR ARR | 
      
      
        | ARR FR | 
        CYRJ | 
        H&L | 
        NONJET | 
        RNAV | 
        BERUT VIVOG ROCKT ARR | 
      
      
        | ARR FR | 
        CYTF | 
        H&L | 
         | 
        RNAV | 
        IGSAS OBTEK XORLO ROCKT ARR | 
      
      
        | ARR FR | 
        CYUY | 
        H | 
         | 
        RNAV | 
        YUY B7 REZIN Q997 EPRES BEMOG LAFLEUR ARR | 
      
      
        | ARR FR | 
        CYUY | 
        L | 
         | 
        RNAV | 
        YUY B7 REZIN T649 EPRES BEMOG LAFLEUR ARR | 
      
      
        | ARR FR | 
        CYVO | 
        H&L | 
         | 
        RNAV | 
        TAGET IKMOL LAFLEUR ARR | 
      
      
        | ARR FR | 
        CYYY | 
        H&L | 
         | 
        RNAV | 
        MIVAX OBTEK XORLO ROCKT ARR | 
      
      
        | ARR FR | 
        CYZV | 
        H&L | 
         | 
        RNAV | 
        MIVAX OBTEK XORLO ROCKT ARR | 
      
      
        | ARR FR | 
        CZBF | 
        H&L | 
        NONJET | 
        RNAV | 
        LABRE XORLO ROCKT ARR | 
      
      
        | ARR FR E | 
         | 
        H&L | 
        JET | 
        RNAV | 
        KEBIG ROCKT ARR | 
      
      
        | ARR FR E | 
         | 
        H&L | 
        NONJET | 
        RNAV | 
        KEBIG ROCKT ARR | 
      
      
        | ARR FR N | 
         | 
        H&L | 
         | 
        RNAV | 
        OBRET LAFLEUR ARR | 
      
      
        | ARR FR NE | 
         | 
        H | 
        JET | 
        RNAV | 
        XORLO ROCKT ARR | 
      
      
        | ARR FR NE | 
         | 
        H&L | 
        NONJET | 
        RNAV | 
        IGSAS OBTEK XORLO ROCKT ARR | 
      
      
        | ARR FR NW | 
         | 
        H&L | 
         | 
        RNAV | 
        BEMOG LAFLEUR ARR | 
      
      
        | ARR FR S | 
         | 
        H&L | 
         | 
        RNAV | 
        PBERG CARTER ARR | 
      
      
        | ARR FR SW | 
         | 
        H&L | 
         | 
        RNAV | 
        ART IMPACT ARR | 
      
      
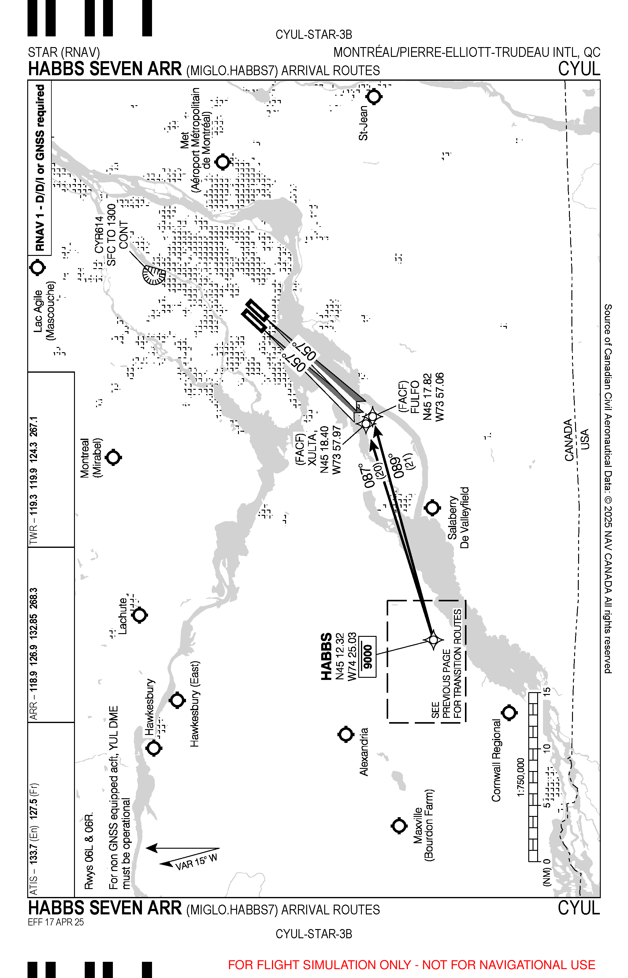
        | ARR FR W | 
         | 
        H&L | 
         | 
        RNAV | 
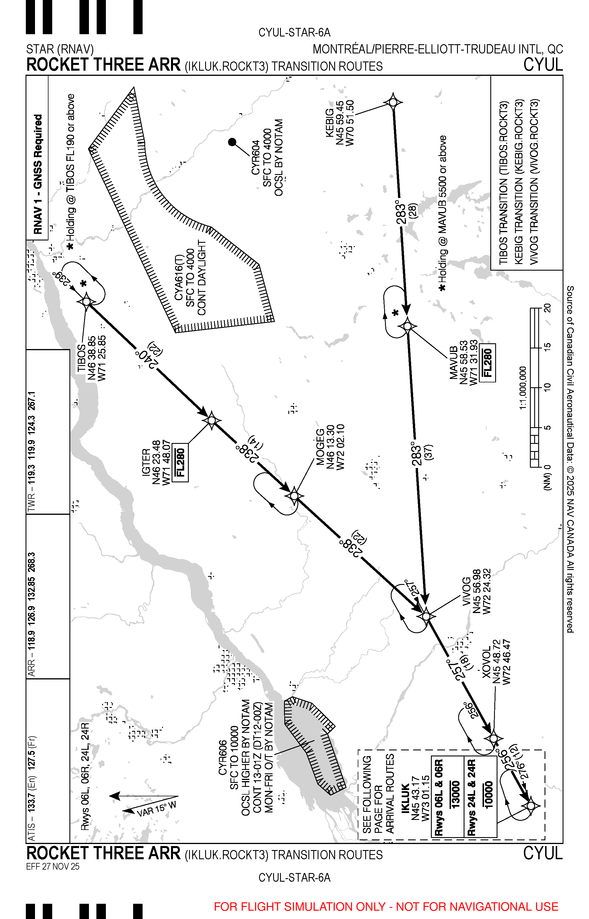
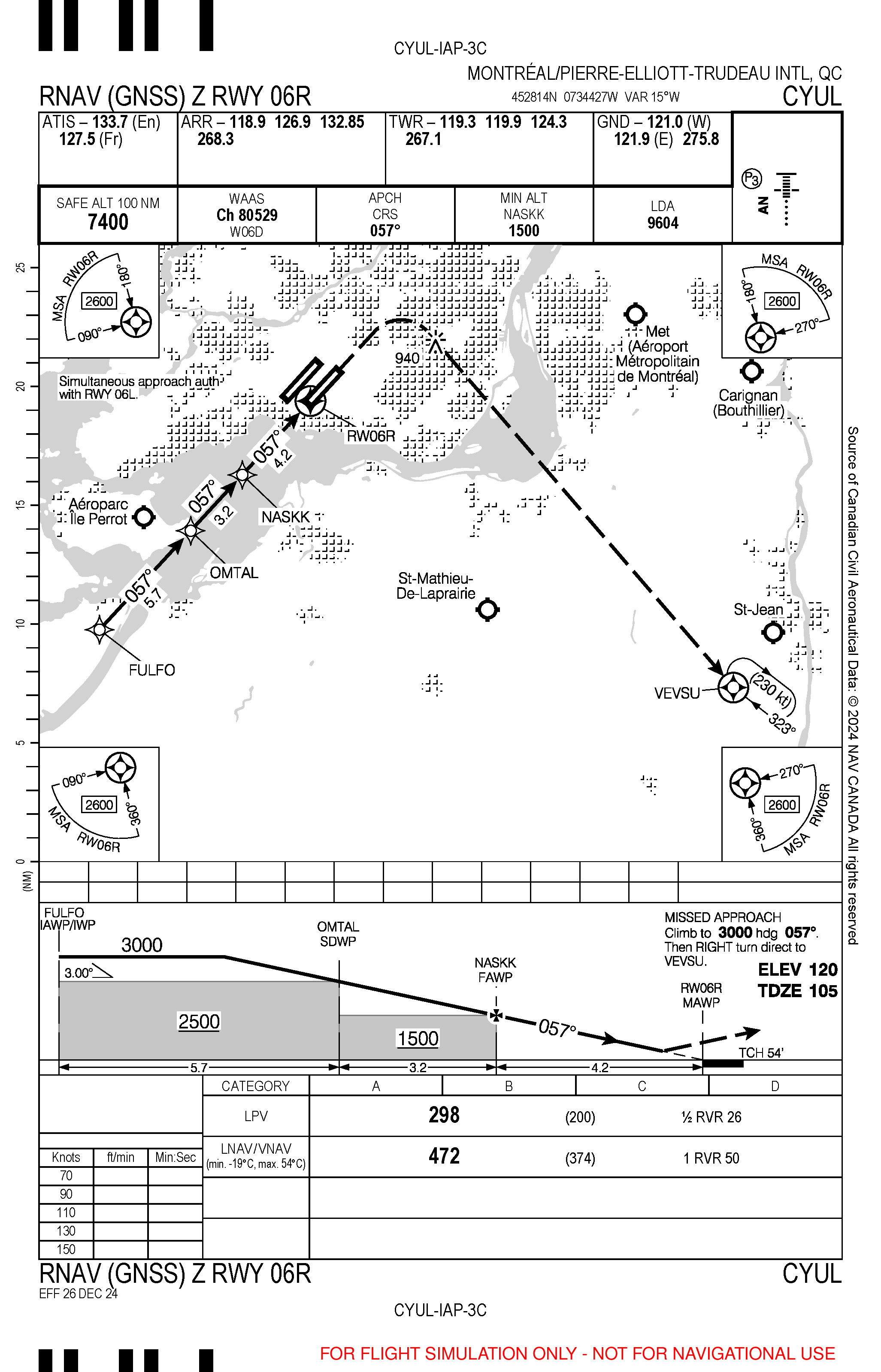
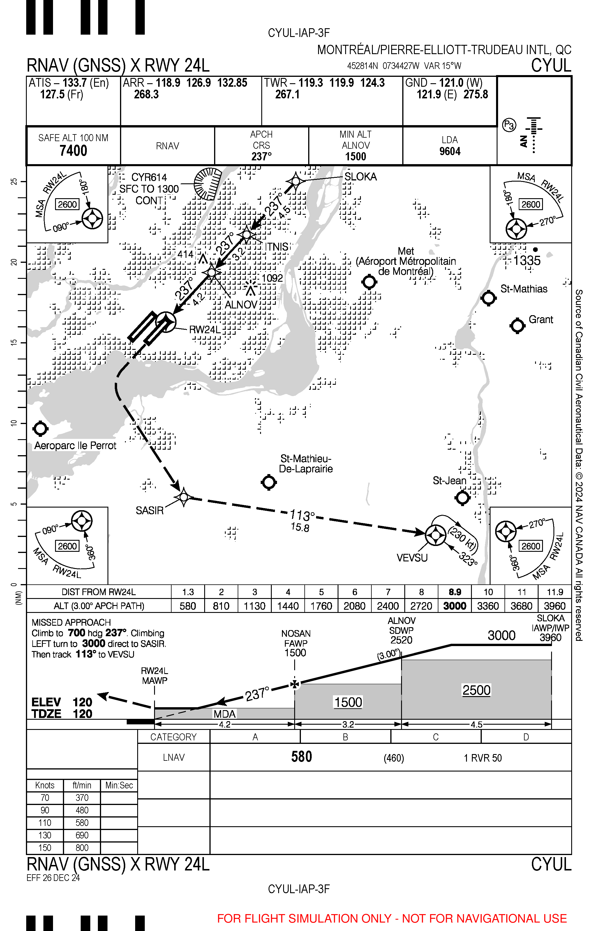
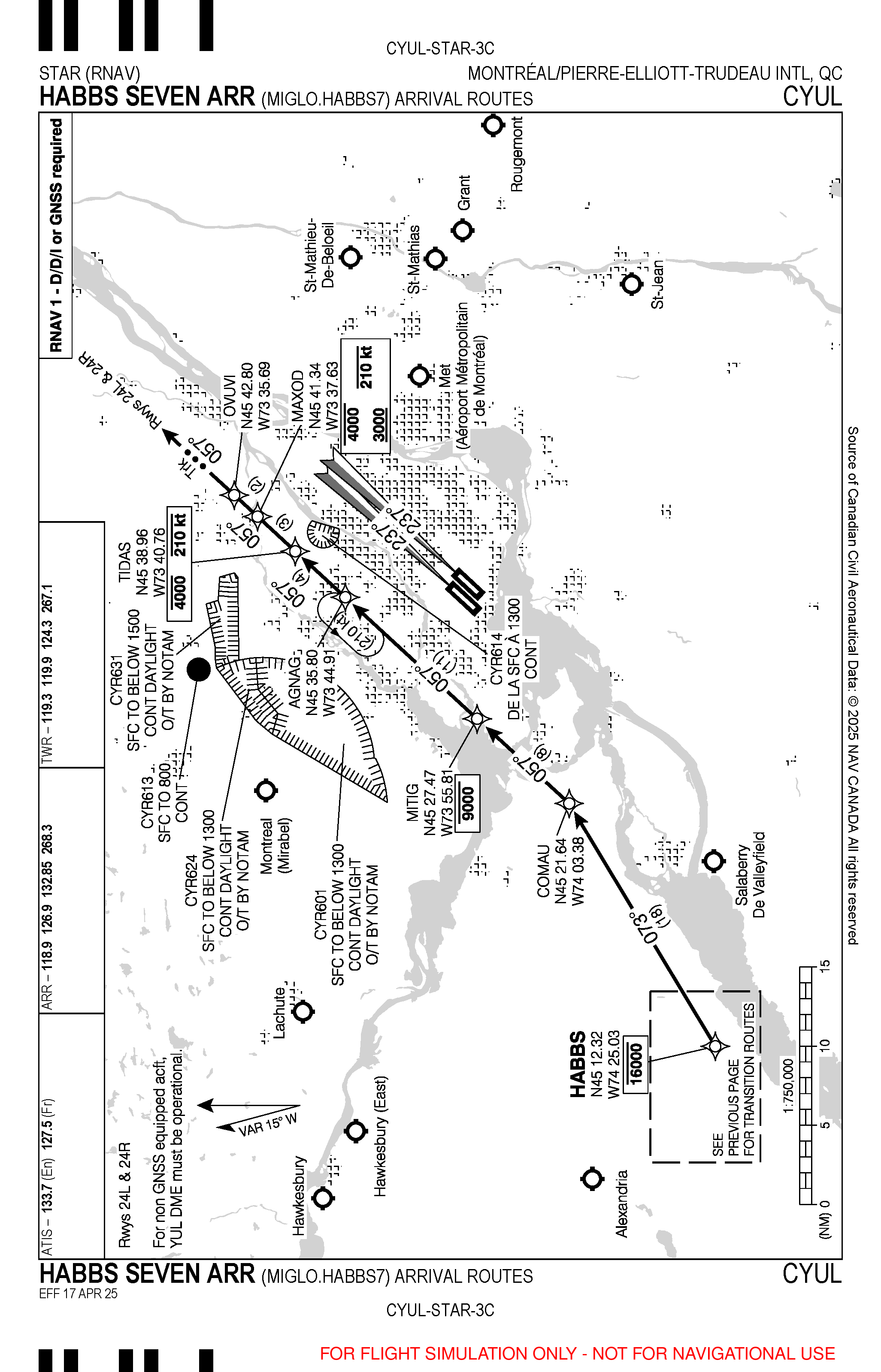
        MIGLO HABBS ARR | 
      
      
        | DEP TO | 
        CYBC | 
        H | 
        JET | 
        RNAV | 
        ANTEG OBRON MOBUB EBMOS IMORI Q910 KESLU | 
      
      
        | DEP TO | 
        CYBC | 
        H | 
        NONJET | 
        RNAV | 
        SINRO LOKBU SOKYE Q921 IMORI Q910 KESLU | 
      
      
        | DEP TO | 
        CYBC | 
        L | 
        NONJET | 
        RNAV | 
        SINRO LOKBU SOKYE T781 IMORI T603 KESLU | 
      
      
        | DEP TO | 
        CYBG | 
        H | 
        JET | 
        RNAV | 
        TAMKO IGSAS | 
      
      
        | DEP TO | 
        CYBG | 
        H&L | 
        NON JET | 
        RNAV | 
        SINRO LOKBU NOVID BERUT IGSAS | 
      
      
        | DEP TO | 
        CYFJ | 
        H | 
         | 
        RNAV | 
        KESKA BIPKO Q997 BOKLU | 
      
      
        | DEP TO | 
        CYFJ | 
        L | 
         | 
        RNAV | 
        KESKA BIPKO T649 BOKLU | 
      
      
        | DEP TO | 
        CYGK | 
        H&L | 
        A140 & ABV | 
        RNAV | 
        KESKA SAVEX KANUR KEMVI LORKA | 
      
      
        | DEP TO | 
        CYGK | 
        L | 
        A120 & BLW | 
        RNAV | 
        TALNO SSENA ALONI OLABA URMUM | 
      
      
        | DEP TO | 
        CYGP | 
        H | 
        NONJET | 
        RNAV | 
        SINRO LOKBU SOKYE Q921 IMORI KITOP FLEUR VODIX OMPOG | 
      
      
        | DEP TO | 
        CYGP | 
        H&L | 
        JET | 
        RNAV | 
        ANTEG OBRON MOBUB EBMOS IMORI KITOP FLEUR VODIX OMPOG | 
      
      
        | DEP TO | 
        CYGP | 
        L | 
        NONJET | 
        RNAV | 
        SINRO LOKBU SOKYE T781 IMORI KITOP FLEUR VODIX OMPOG | 
      
      
        | DEP TO | 
        CYHM | 
        H | 
         | 
        RNAV | 
        KESKA SAVEX Q806 ILUSI TICAT ARR | 
      
      
        | DEP TO | 
        CYHM | 
        L | 
        A140 & BLW | 
        RNAV | 
        TALNO SSENA ALONI OLABA ILIXU LINNG | 
      
      
        | DEP TO | 
        CYHM | 
        L | 
        A160 | 
        RNAV | 
        KESKA SAVEX T614 ILUSI TICAT ARR | 
      
      
        | DEP TO | 
        CYML | 
        H | 
        NONJET | 
        RNAV | 
        SINRO LOKBU SOKYE Q921 IMORI Q910 KESLU | 
      
      
        | DEP TO | 
        CYML | 
        H&L | 
        JET | 
        RNAV | 
        ANTEG OBRON MOBUB EBMOS IMORI Q910 KESLU | 
      
      
        | DEP TO | 
        CYML | 
        L | 
        NONJET | 
        RNAV | 
        SINRO LOKBU SOKYE T781 IMORI T603 KESLU | 
      
      
        | DEP TO | 
        CYND | 
        H&L | 
         | 
        RNAV | 
        KESKA ALSET THURO | 
      
      
        | DEP TO | 
        CYOW | 
        H&L | 
         | 
        RNAV | 
        KESKA ALSET RIVER ARR | 
      
      
        | DEP TO | 
        CYQB | 
        H&L | 
        JET | 
        RNAV | 
        ANTEG OBRON MOBUB PESAC PESAC ARR | 
      
      
        | DEP TO | 
        CYQB | 
        H&L | 
        NONJET | 
        RNAV | 
        SINRO PESAC ARR | 
      
      
        | DEP TO | 
        CYSN | 
        H&L | 
        DH8D TYPE OR FASTER, A140 & BLW | 
        RNAV | 
        BOBKI MELTI KEMVI LORKA ILIXU | 
      
      
        | DEP TO | 
        CYSN | 
        H&L | 
        NON JET, A140 & ABV | 
        RNAV | 
        KESKA SAVEX KANUR KEMVI LORKA ILIXU | 
      
      
        | DEP TO | 
        CYSN | 
        L | 
        A120 & BLW | 
        RNAV | 
        TALNO SSENA ALONI OLABA ILIXU | 
      
      
        | DEP TO | 
        CYTR | 
        H&L | 
        A140 & ABV | 
        RNAV | 
        KESKA SAVEX KANUR KEMVI LORKA YTR | 
      
      
        | DEP TO | 
        CYTR | 
        L | 
        A120 & BLW | 
        RNAV | 
        TALNO SSENA ALONI YTR | 
      
      
        | DEP TO | 
        CYTZ | 
        H&L | 
        DH8D TYPE OR FASTER | 
        RNAV | 
        BOBKI MELTI KEMVI ILIXU ARR | 
      
      
        | DEP TO | 
        CYTZ | 
        H&L | 
        SLOWER THAN DH8D TYPE, A140 & ABV | 
        RNAV | 
        KESKA SAVEX KANUR KEMVI ILIXU ARR | 
      
      
        | DEP TO | 
        CYTZ | 
        L | 
        A120 & BLW | 
        RNAV | 
        TALNO SSENA ALONI OLABA ILIXU | 
      
      
        | DEP TO | 
        CYTZ | 
        L | 
        SINGLE ENGINE A120 & BLW | 
        RNAV | 
        TALNO SSENA ALONI TESUK | 
      
      
        | DEP TO | 
        CYXU | 
        H | 
         | 
        RNAV | 
        KESKA SAVEX Q806 ILUSI ERBAL YYZ LETOR | 
      
      
        | DEP TO | 
        CYXU | 
        L | 
        A140 & BLW | 
        RNAV | 
        KESKA SAVEX KANUR LETAK T616 REVUD | 
      
      
        | DEP TO | 
        CYXU | 
        L | 
        A160 | 
        RNAV | 
        KESKA SAVEX T614 ILUSI YYZ LETOR | 
      
      
        | DEP TO | 
        CYYY | 
        H | 
        NONJET | 
        RNAV | 
        SINRO LOKBU SOKYE Q921 IMORI KITOP FLEUR | 
      
      
        | DEP TO | 
        CYYY | 
        H&L | 
        JET | 
        RNAV | 
        ANTEG OBRON MOBUB EBMOS IMORI KITOP FLEUR | 
      
      
        | DEP TO | 
        CYYY | 
        L | 
        NONJET | 
        RNAV | 
        SINRO LOKBU SOKYE T781 IMORI KITOP FLEUR | 
      
      
        | DEP TO | 
        CYYZ | 
        H&L | 
        JET | 
        RNAV | 
        BOBKI MELTI TORNI RAGID ARR | 
      
      
        | DEP TO | 
        CYYZ | 
        H&L | 
        NONJET | 
        RNAV | 
        KESKA SAVEX KANUR TUKIR UDNOX ARR | 
      
      
        | DEP TO | 
        CYZV | 
        H | 
        JET | 
        RNAV | 
        ANTEG OBRON MOBUB EBMOS IMORI Q910 KESLU | 
      
      
        | DEP TO | 
        CYZV | 
        H | 
        NONJET | 
        RNAV | 
        SINRO LOKBU SOKYE Q921 IMORI Q910 KESLU | 
      
      
        | DEP TO | 
        CYZV | 
        L | 
        NONJET | 
        RNAV | 
        SINRO LOKBU SOKYE T781 IMORI T603 KESLU | 
      
      
        | DEP TO | 
        KALB | 
        H&L | 
         | 
        RNAV | 
        FAWNS BUGSY ALB | 
      
      
        | DEP TO | 
        KBDL | 
        H&L | 
         | 
        RNAV | 
        VIRKA BRATS | 
      
      
        | DEP TO | 
        KBOS | 
        H&L | 
        JET | 
        RNAV | 
        VIRKA TEMPR ENE OOSHN ARR | 
      
      
        | DEP to | 
        KBOS | 
        H&L | 
        NONJET | 
        RNAV | 
        VIRKA CON TOMIE LWRNC | 
      
      
        | DEP TO | 
        KBTV | 
        H&L | 
         | 
        RNAV | 
        VIRKA | 
      
      
        | DEP TO | 
        KBUF | 
        H&L | 
         | 
        RNAV | 
        FAWNS BUGSY SYR ROC EHMAN | 
      
      
        | DEP TO | 
        KCLE | 
        H | 
         | 
        RNAV | 
        KESKA SAVEX Q806 GGUCE DOZRR BRWNZ ARR | 
      
      
        | DEP TO | 
        KCVG | 
        H&L | 
         | 
        RNAV | 
        FAWNS BUGSY SYR JOSSY MAULL KODIE CTW TIGRR ARR | 
      
      
        | DEP TO | 
        KDET | 
        H | 
         | 
        RNAV | 
        FAWNS BUGSY SYR COLTS GIGGY ARR | 
      
      
        | DEP TO | 
        KDET | 
        H | 
        FL180 TO FL220 | 
        RNAV | 
        KESKA SAVEX Q806 ILUSI YYZ LETOR PICUP GIGGY ARR | 
      
      
        | DEP TO | 
        KDET | 
        H | 
        FL240 & ABV | 
        RNAV | 
        KESKA SAVEX Q806 BOBTA DERLO PICUP GIGGY ARR | 
      
      
        | DEP TO | 
        KDET | 
        L | 
        A140 & BLW | 
        RNAV | 
        KESKA SAVEX T614 PEVNI KENLU T616 REVUD DERLO PICUP GIGGY ARR | 
      
      
        | DEP TO | 
        KDET | 
        L | 
        A160 | 
        RNAV | 
        KESKA SAVEX T614 ILUSI YYZ LETOR PICUP GIGGY ARR | 
      
      
        | DEP TO | 
        KDTW | 
        H | 
         | 
        RNAV | 
        FAWNS BUGSY GONZZ DONEO TPGUN ARR | 
      
      
        | DEP TO | 
        KDTW | 
        H | 
         | 
        RNAV | 
        FAWNS BUGSY GONZZ DONEO CUUGR ARR | 
      
      
        | DEP TO | 
        KDTW | 
        H | 
         | 
        RNAV | 
        KESKA SAVEX Q806 BOBTA CUUGR ARR | 
      
      
        | DEP TO | 
        KDTW | 
        H | 
         | 
        RNAV | 
        KESKA SAVEX Q806 BOBTA TPGUN ARR | 
      
      
        | DEP TO | 
        KEWR | 
        H&L | 
         | 
        RNAV | 
        FAWNS BUGSY HANAA FLOSI ARR | 
      
      
        | DEP TO | 
        KHPN | 
        H&L | 
         | 
        RNAV | 
        FAWNS BUGSY NIPPY ALB V157 HAARP | 
      
      
        | DEP TO | 
        KJFK | 
        H&L | 
         | 
        RNAV | 
        FAWNS BUGSY NIPPY ALB IGN ARR | 
      
      
        | DEP TO | 
        KLGA | 
        H&L | 
         | 
        RNAV | 
        FAWNS BUGSY NIPPY ALB HAARP ARR | 
      
      
        | DEP TO | 
        KORD | 
        H | 
         | 
        RNAV | 
        KESKA SAVEX KANUR LETAK Q824 FNT WYNDE ARR | 
      
      
        | DEP TO | 
        KPHL | 
        H&L | 
         | 
        RNAV | 
        FAWNS BUGSY NIPPY ALB DNY SPUDS ARR | 
      
      
        | DEP TO | 
        KTEB | 
        H&L | 
         | 
        RNAV | 
        FAWNS BUGSY HANAA ALB V489 COATE | 
      
      
        | DEP TO E | 
         | 
        H | 
        FL290 & ABV | 
        RNAV | 
        ANTEG OBRON MOBUB EBMOS IMORI KITOP CEFOU | 
      
      
        | DEP TO E | 
         | 
        H | 
        FL290 & ABV | 
        RNAV | 
        ANTEG OBRON MOBUB EBMOS IMORI KITOP ANCER | 
      
      
        | DEP TO E | 
         | 
        H | 
        FL290 & ABV | 
        RNAV | 
        ANTEG OBRON MOBUB EBMOS IMORI KITOP BAREE | 
      
      
        | DEP TO E | 
         | 
        H | 
        JET | 
        RNAV | 
        SUXET NOVUN ESRAM RABIK Q951 ANTOV | 
      
      
        | DEP TO E | 
         | 
        H | 
        JET | 
        RNAV | 
        ANTEG OBRON MOBUB EBMOS IMORI Q910 KESLU | 
      
      
        | DEP TO E | 
         | 
        H | 
        NONJET | 
        RNAV | 
        AVUKA PUXER Q947 REVEN | 
      
      
        | DEP TO E | 
         | 
        H | 
        NONJET, FL270 & BLW, TRACK NORTH OF VODIX | 
        RNAV | 
        SINRO LOKBU SOKYE Q921 IMORI KITOP FLEUR | 
      
      
        | DEP TO E | 
         | 
        H | 
        NONJET, FL270 & BLW, TRACK VIA VODIX OR SOUTH OF VODIX | 
        RNAV | 
        SINRO LOKBU SOKYE Q921 IMORI KITOP FLEUR VODIX | 
      
      
        | DEP TO E | 
         | 
        H&L | 
        JET | 
        RNAV | 
        ANTEG OBRON MOBUB EBMOS IMORI KITOP FLEUR | 
      
      
        | DEP TO E | 
         | 
        H&L | 
        NONJET, FL270 & BLW | 
        RNAV | 
        SINRO LOKBU SOKYE Q921 IMORI Q910 KESLU | 
      
      
        | DEP TO E | 
         | 
        L | 
        JET | 
        RNAV | 
        SUXET NOVUN ESRAM RABIK T739 ANTOV | 
      
      
        | DEP TO E | 
         | 
        L | 
        NONJET | 
        RNAV | 
        AVUKA PUXER T737 REVEN | 
      
      
        | DEP TO E | 
         | 
        L | 
        NONJET | 
        RNAV | 
        SINRO LOKBU SOKYE T781 IMORI T603 KESLU | 
      
      
        | DEP TO E | 
         | 
        L | 
        NONJET, FL270 & BLW | 
        RNAV | 
        SINRO LOKBU SOKYE T781 IMORI T603 KESLU | 
      
      
        | DEP TO E | 
         | 
        L | 
        NONJET, TRACK NORTH OF VODIX | 
        RNAV | 
        SINRO LOKBU SOKYE T781 IMORI KITOP FLEUR | 
      
      
        | DEP TO E | 
         | 
        L | 
        NONJET, TRACK VIA VODIX OR SOUTH OF VODIX | 
        RNAV | 
        SINRO LOKBU SOKYE T781 IMORI KITOP FLEUR VODIX | 
      
      
        | DEP TO N | 
         | 
        H | 
         | 
        RNAV | 
        TAMKO Q903 IKNAR | 
      
      
        | DEP TO N | 
         | 
        L | 
         | 
        RNAV | 
        TAMKO T705 IKNAR | 
      
      
        | DEP TO NE | 
         | 
        H | 
        JET | 
        RNAV | 
        TAMKO IGSAS | 
      
      
        | DEP TO NE | 
         | 
        H&L | 
         | 
        RNAV | 
        TAMKO ULDON | 
      
      
        | DEP TO NE | 
         | 
        H&L | 
        NONJET | 
        RNAV | 
        SINRO LOKBU NOVID BERUT IGSAS | 
      
      
        | DEP TO NW | 
         | 
        H | 
        NONJET | 
        RNAV | 
        KESKA BIPKO Q997 SASID | 
      
      
        | DEP TO NW | 
         | 
        H&L | 
        JET | 
        RNAV | 
        KESKA BIPKO IPSAK OMEGI RADEN | 
      
      
        | DEP TO NW | 
         | 
        L | 
        NONJET | 
        RNAV | 
        KESKA BIPKO T649 SASID | 
      
      
        | DEP TO S | 
         | 
        H&L | 
         | 
        RNAV | 
        FAWNS BUGSY | 
      
      
        | DEP TO SE | 
         | 
        H&L | 
         | 
        RNAV | 
        VIRKA | 
      
      
        | DEP TO SW | 
         | 
        H&L | 
         | 
        RNAV | 
        FAWNS BUGSY SYR | 
      
      
        | DEP TO W | 
         | 
        H | 
         | 
        RNAV | 
        KESKA SAVEX Q806 TUKIR | 
      
      
        | DEP TO W | 
         | 
        H&L | 
         | 
        RNAV | 
        KESKA SAVEX KANUR LETAK | 
      
      
        | DEP TO W | 
         | 
        L | 
         | 
        RNAV | 
        KESKA SAVEX T614 TUKIR |