| ICAO Code | CYJN |
| IATA Code | YJN |
| Name | St-Jean Airport |
| Location | Saint-Jean-sur-Richelieu, Quebec, CA |
| Elevation | 136 Feet / 41.5 Meters |
| Latitude | 45.29444444 |
| Longitude | -73.28166667 |
| METAR | CYJN 060300Z AUTO 02012G18KT M09/M15 A3042 |
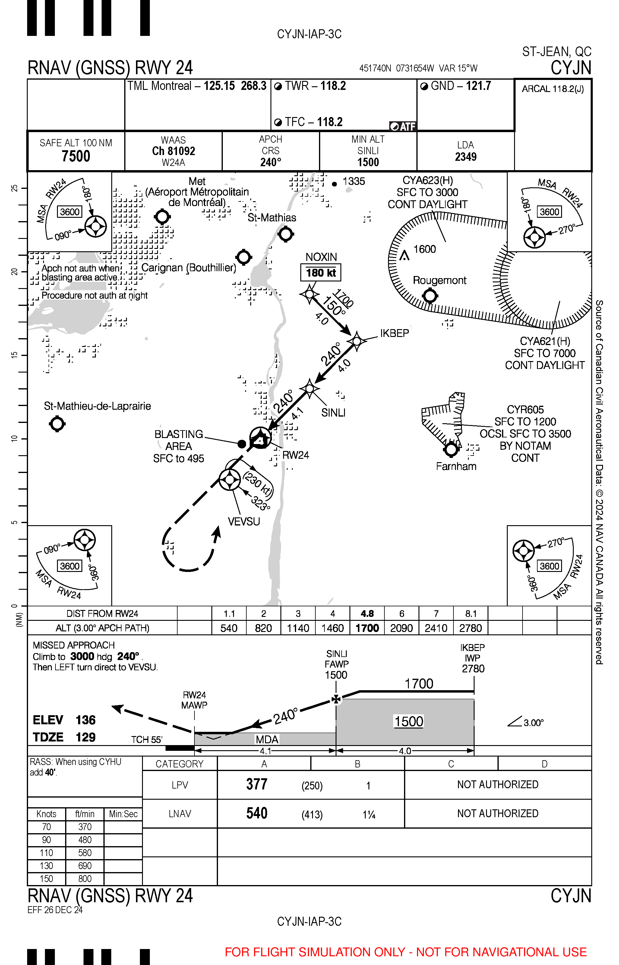
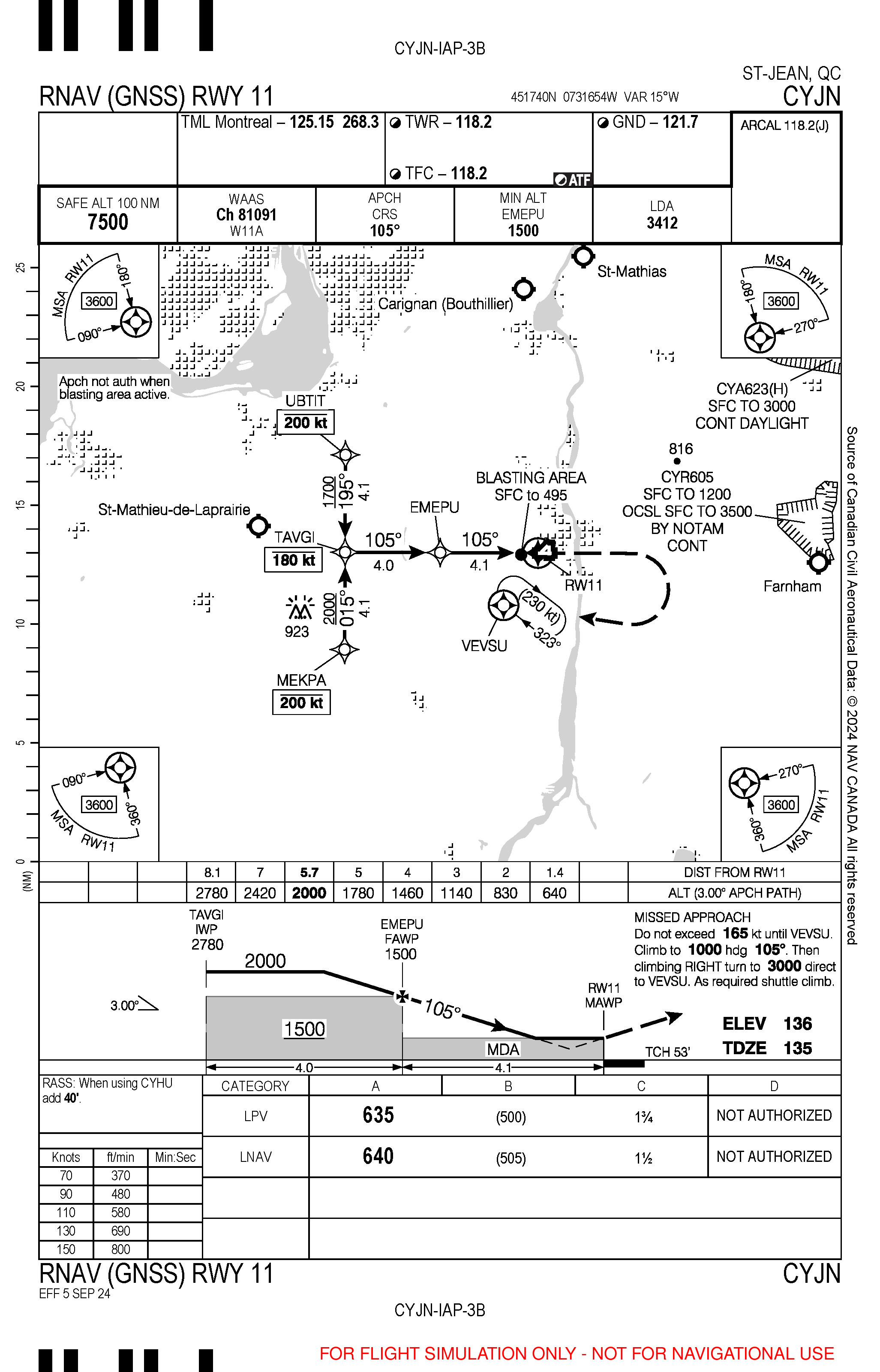
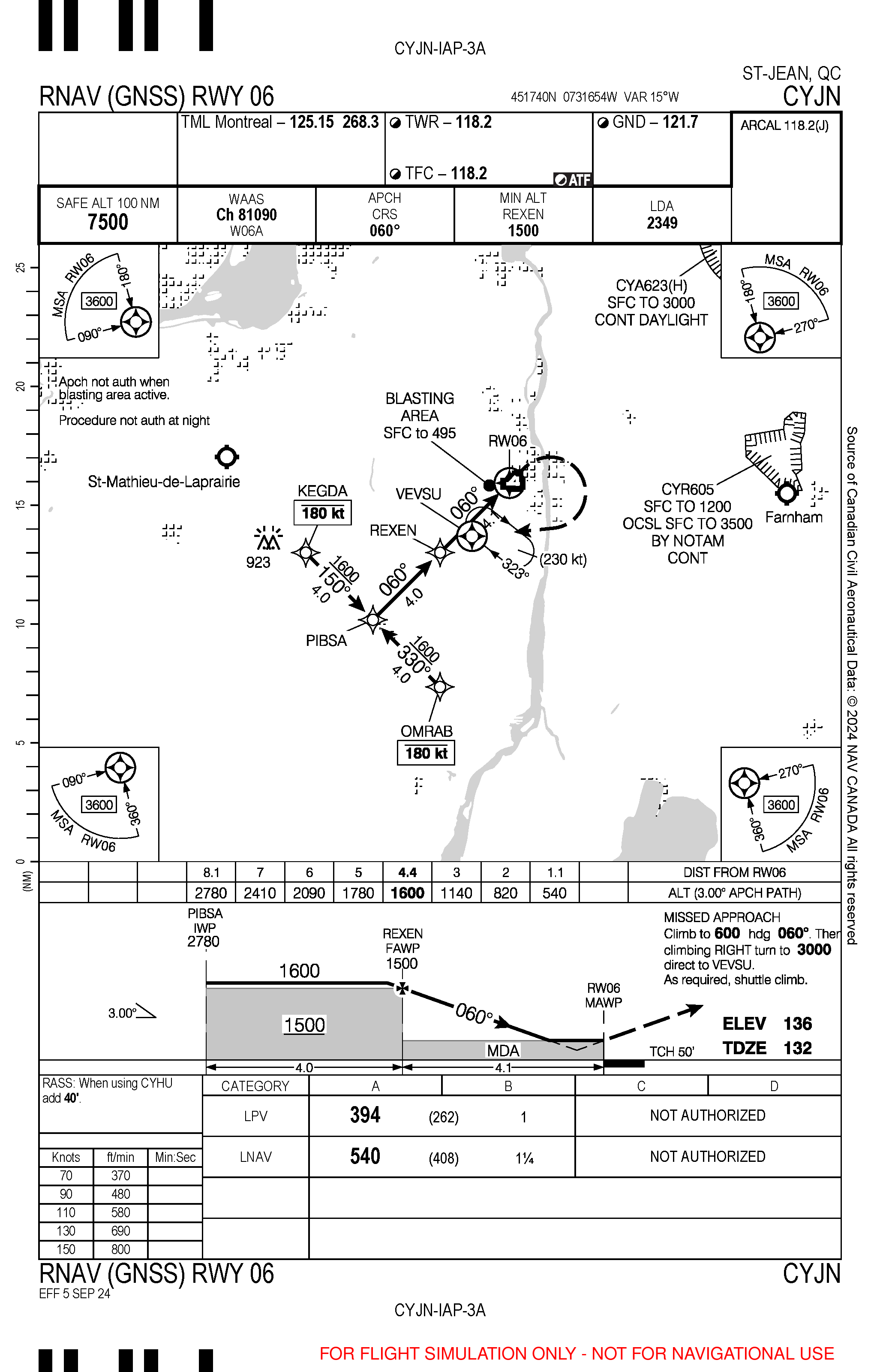
| Extra information | Display Charts |
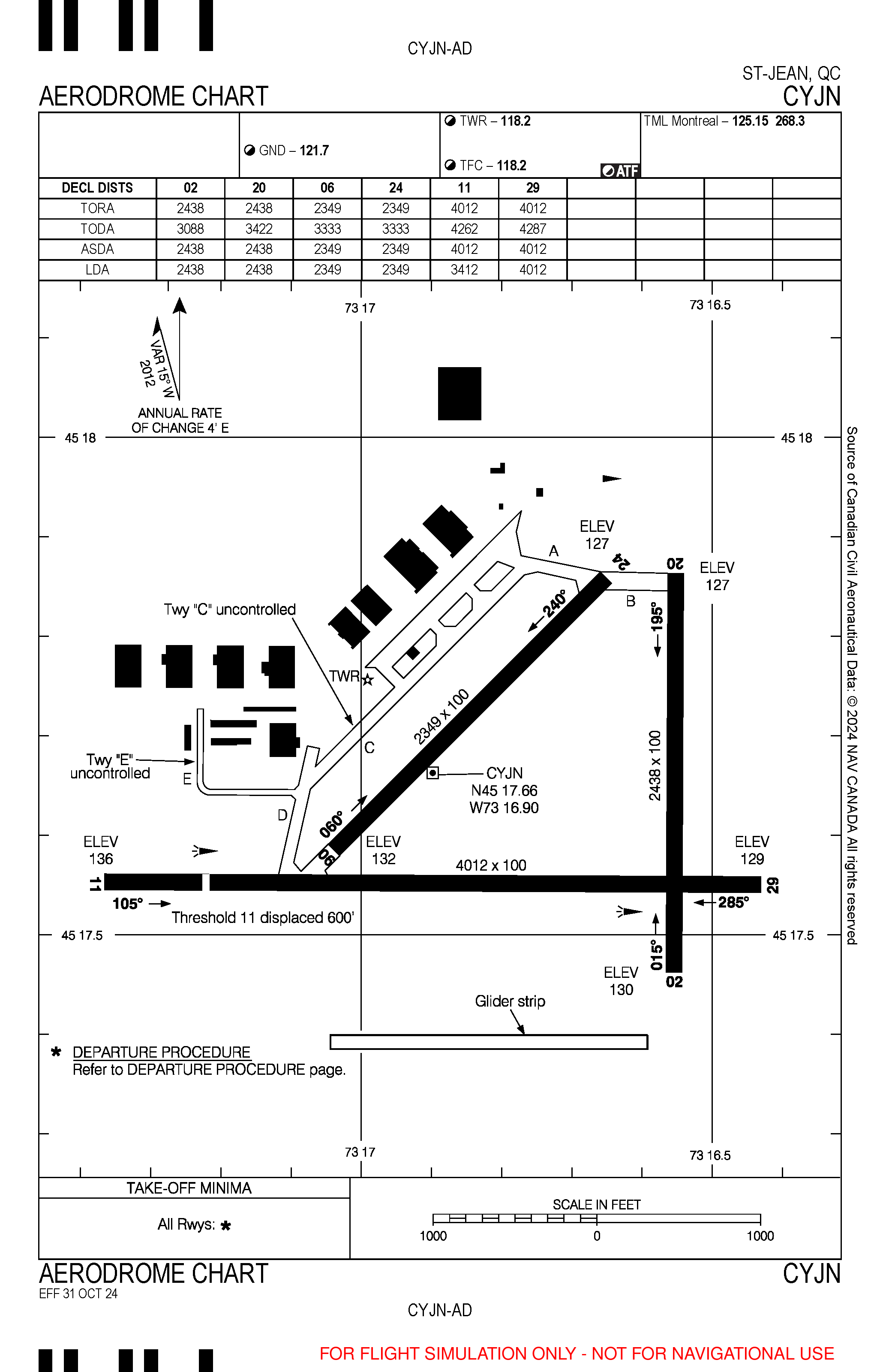
| Runway | Length | Width | Surface | Elevation |
|---|---|---|---|---|
| 02 | 2438 ft | 100 ft | ASP | 130 ft |
| 06 | 2349 ft | 100 ft | ASP | 132 ft |
| 11 | 4012 ft | 100 ft | ASP | 136 ft |
| 20 | 2438 ft | 100 ft | ASP | 127 ft |
| 24 | 2349 ft | 100 ft | ASP | 127 ft |
| 29 | 4012 ft | 100 ft | ASP | 129 ft |